情報更新日 2025年12月4日 次回更新予定日 2026年1月6日
トップページ > 物件情報 > 分譲地情報
アーバンタウン東梵天 うわの街区
| 分譲概要 アーバンタウン東梵天 うわの街区 | |
|---|---|
| 名称 | アーバンタウン東梵天 うわの街区 |
| 所在地 | 由利本荘市出戸上野16番 他 |
| 地目 | 宅地 |
| 開発面積 | 7684.08m2 |
| 用途地域 | 無指定(建ぺい率70%・容積率200%) |
| 販売区画数 | 32区画 |
| 一区画あたりの面積 | 163.45㎡~231.41㎡ |
| 販売価格 | 36,300~37,207円/㎡ |
| 道路 | アスファルト舗装6m(市道梵天線・市道大野3号線に接続) |
| 水道 | 由利本荘市営・各区画へ配管済み |
| 電気 | 東北電力 |
| 排水 | U字側溝300m蓋付 |
| 交通 | JR羽越本線 羽後本荘駅より徒歩14分 (1100m) 市営循環バス 東梵天南停留所まで徒歩3分(200m) |
| 学区 | 尾崎小学校 本荘東中学校 |
| 開発許可 | 由本都第63号(令和6年7月26日) 由利本荘市指令第632号(令和6年7月26日) |
| 売主・所有者 | 富士不動産株式会社 |
| 建築条件付き土地分譲 | ※この土地は、土地売買契約後3ヶ月以内に、富士不動産株式会社と建物の建築請負契約を締結することを条件に販売します。この期間内に建築請負契約を締結されなかった場合は、土地売買契約は白紙となり、受領した手付金等の土地代金はすべてお返しいたします。 |
アクセス
【住所】秋田県由利本荘市出戸上野16番 地
【交通】JR羽越本荘駅より徒歩 14分 ( 1.1km) 市営循環バス 東梵天南停留所まで徒歩3分(200m)
ララタウン 大鍬町
| 分譲概要 ララタウン 大鍬町区 | |
|---|---|
| 名称 | ララタウン 大鍬町 |
| 所在地 | 由利本荘市大鍬町174番1 他 |
| 地目 | 宅地 |
| 開発面積 | 1,309.03m2 |
| 用途地域 | 第2種住居地域(建ぺい率60%・容積率200%) |
| 販売区画数 | 5区画 |
| 一区画あたりの面積 | 178.84㎡~264.46㎡ |
| 販売価格 | 32,670円/㎡ |
| 道路 | アスファルト舗装6m(市道鶴沼薬師堂線・市道大鍬町2号線・市道大鍬町26に接続) |
| 水道 | 由利本荘市営・各区画へ配管済み |
| 電気 | 東北電力 |
| 排水 | U字側溝300m蓋付 |
| 交通 | JR羽越本線 羽後本荘駅より徒歩28分 (2.2km) 市営循環バス 安楽温泉前停留所まで徒歩1分(60m) |
| 学区 | 鶴舞小学校 本荘南中学校 |
| 開発許可 | 由本都第72号(令和5年7月6日) |
| 売主・所有者 | 富士不動産株式会社 |
| 建築条件付き土地分譲 | ※この土地は、土地売買契約後3ヶ月以内に、富士不動産株式会社と建物の建築請負契約を締結することを条件に販売します。この期間内に建築請負契約を締結されなかった場合は、土地売買契約は白紙となり、受領した手付金等の土地代金はすべてお返しいたします。 |
アクセス
【住所】秋田県由利本荘市大鍬町173番地
【交通】JR羽越本荘駅より徒歩 28分(2.2km) 市営循環バス 安楽温泉前停留所まで徒歩 1分(60m)
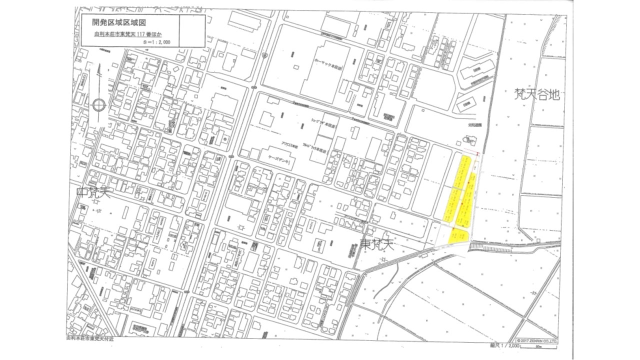
アーバンタウン東梵天 第7期
| 分譲概要 アーバンタウン東梵天 第7期 | |
|---|---|
| 名称 | アーバンタウン東梵天 第7期 |
| 所在地 | 由利本荘市東梵天117番 他 |
| 地目 | 宅地 |
| 開発面積 | 4,783.38m2 |
| 用途地域 | 第2種住居地域(建ぺい率60%・容積率200%) |
| 販売区画数 | 20区画 |
| 一区画あたりの面積 | 154.87㎡~298.21㎡ |
| 販売価格 | 36,300円/㎡ |
| 道路 | アスファルト舗装6m(市道東梵天10号線・市道東梵天11号線に接続) |
| 水道 | 由利本荘市営・各区画へ配管済み |
| 電気 | 東北電力 |
| 排水 | U字側溝300m蓋付 |
| 交通 | JR羽越本線 羽後本荘駅より徒歩10分 (760m) 市営循環バス 東梵天北停留所まで徒歩3分(200m) |
| 学区 | 尾崎小学校 本荘東中学校 |
| 開発許可 | 由本都第63号(令和4年6月28日) |
| 売主・所有者 | 富士不動産株式会社 |
| 建築条件付き土地分譲 | ※この土地は、土地売買契約後3ヶ月以内に、富士不動産株式会社と建物の建築請負契約を締結することを条件に販売します。この期間内に建築請負契約を締結されなかった場合は、土地売買契約は白紙となり、受領した手付金等の土地代金はすべてお返しいたします。 |
アクセス
【住所】秋田県由利本荘市東梵天117番地
【交通】JR羽越本荘駅より徒歩 10分(760m) 市営循環バス 東梵天北停留所まで徒歩3分(200m)
若葉町グリーンタウン
| 分譲概要 若葉町グリーンタウン | |
|---|---|
| 名称 | 若葉町グリーンタウン |
| 所在地 | 由利本荘市石脇字田尻野10-9ほか |
| 地目 | 宅地 |
| 開発面積 | 992m2 |
| 用途地域 | 第2種低層住居専用地域(建ぺい率50%・容積率80%) |
| 販売区画数 | 5区画 |
| 一区画あたりの面積 | 198.35m2~199.02m2 私道負担なし |
| 販売価格 | 20,267円/㎡ |
| 道路 | 位置指定道路(S40.12.2)5106号 アスファルト舗装4m (市道東梵天13号線に接続) |
| 水道 | 公営・各区画へ配管済み |
| 電気 | 東北電力 |
| 排水 | 公営下水道 |
| 交通 | JR羽越本線 羽後本荘駅より徒歩55分 (4,400m) 羽後交通バス 技能センター前停留所まで徒歩5分(380m) |
| 学区 | 新山小学校 本荘北中学校 |
| 売主・所有者 | 富士不動産株式会社 |
| 建築条件付き土地分譲 | ※この土地は、土地売買契約後3ヶ月以内に、富士不動産株式会社と建物の建築請負契約を締結することを条件に販売します。この期間内に建築請負契約を締結されなかった場合は、土地売買契約は白紙となり、受領した手付金等の土地代金はすべてお返しいたします。 |
アクセス
【住所】秋田県由利本荘市石脇字田尻野10-9番地
【交通】JR羽越本荘駅より徒歩 55分(4,400m) 羽後交通バス 技能センター前停留所まで徒歩5分(380m)
アーバンタウン赤沼B街区
| 分譲概要 アーバンタウン赤沼B街区 | |
|---|---|
| 名称 | アーバンタウン赤沼B街区 |
| 所在地 | 由利本荘市赤沼下59-1他 |
| 地目 | 宅地 |
| 開発面積 | 2,799.01m2 |
| 用途地域 | 第1種住居専用地域(建ぺい率60%・容積率200%) 第2種住居専用地域(建ぺい率60%・容積率200%) |
| 販売区画数 | 13区画 |
| 一区画あたりの面積 | 135.64m2~247.94㎡ |
| 販売価格 | 37,208円/㎡ |
| 道路 | アスファルト舗装6m(市道赤沼下5号線に接続) |
| 水道 | 由利本荘市営・各区画へ配管済み |
| 電気 | 東北電力 |
| 排水 | 公営下水道 |
| 交通 | JR羽越本線 羽後本荘駅より徒歩13分 (980m) 市営循環バス 中梵天東停留所まで徒歩2分(135m) |
| 学区 | 尾崎小学校 本荘南中学校 |
| 開発許可 | 由本都第130号(令和元年7月18日) |
| 売主・所有者 | 富士不動産株式会社 |
| 建築条件付き土地分譲 | ※この土地は、土地売買契約後3ヶ月以内に、富士不動産株式会社と建物の建築請負契約を締結することを条件に販売します。この期間内に建築請負契約を締結されなかった場合は、土地売買契約は白紙となり、受領した手付金等の土地代金はすべてお返しいたします。 |
アクセス
【住所】秋田県由利本荘市赤沼下59-1番地
【交通】JR羽越本荘駅より徒歩 55分(4,400m) JR羽越本荘駅より徒歩 13分(980m)
市営循環バス 赤沼町停留所まで徒歩2分(135m)
